乾式研磨法
隕石
隕石は、金属鉄(鉄とニッケルの合金)を主成分とする鉄隕石、ケイ酸塩鉱物を主成分とする石質隕石、金属鉄とケイ酸塩鉱物が同等に入っている石鉄隕石に大きく分類される。石質隕石のうち、コンドリュールを含む隕石をコンドライトと呼んでいる。コンドリュールとは、初期の太陽系においてケイ酸塩が高温で融けた後に急冷されて出来た組織と考えられており、粒状、針状あるいは放射状に成長したケイ酸塩鉱物とその粒間を埋めるガラス(結晶にならなかった残液)で構成されている。
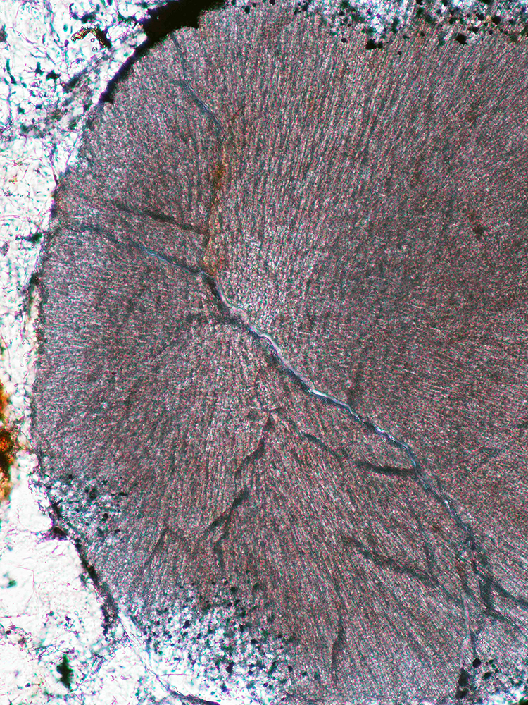
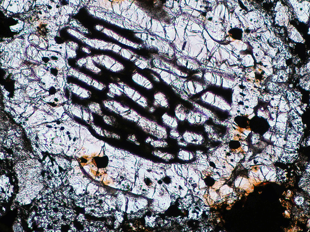
薄片の偏光顕微鏡写真(開放ニコル)
2007年7月 西アフリカのマリ北部に落下した隕石(Chergach普通コンドライト(H5))
No.2、No.3、No.4、は、同一のコンドリュールの顕微鏡写真である。典型的なコンドリュールの一つで、内側のケイ酸塩鉱物の周囲には残液が固まったガラスがある。(No.2、No.3では黒く、No.4では少し暗い部分)また、No.4の写真では、ガラス部分に晶出した細粒なケイ酸塩鉱物が観察できる。No.2、No.3で黒く、No.4で白く光って見える部分は、鉄・ニッケル合金であり、ベージュや赤みを帯びて光って見える部分は硫化鉱物である。No.5、No.6、No.7、No.8は、珪酸塩鉱物が針状に成長したコンドリュールの顕微鏡写真である。No.8の写真でも結晶とガラスが観察できる。コンドリュールの端の部分は一部、周りと反応した様に見える。














